品牌新闻
时间:2016.07.08 作者:宏陶市场部 浏览次数:
|
企业事业环境信息公开目录明细 |
||||||
|
一、基础信息 |
||||||
|
单位名称 |
广东宏陶陶瓷有限公司 |
|||||
|
生产地址 |
佛山市南海区狮山镇官窑大榄工业区 |
|||||
|
法定代表人 |
梁桐灿 |
组织机构代码证 |
70811987-5 |
|||
|
联系方式 |
区号 |
0757 |
||||
|
电话号码 |
13928645368 |
|||||
|
联系人 |
陈坤年 |
|||||
|
传真号码 |
0757-85889398 |
|||||
|
邮政编码 |
528237 |
|||||
|
生产经营和管理服务的主要内容 |
建筑陶瓷制品制造 |
|||||
|
主要产品 |
产品名称 |
计量单位 |
实际年产量 |
|||
|
1墙地砖 |
万平方米 |
1839 |
||||
|
2 |
|
|
||||
|
3 |
|
|
||||
|
4 |
|
|
||||
|
二、排污信息 |
||||||||
|
(一)废水污染物信息表 注:本单位为废水零排放企业。 |
||||||||
|
排污口信息 |
废水执行标准 |
|
允许排放的废水总量(t/a) |
|
||||
|
排放口编号 |
分布位置 |
排放污染物种类 |
排放去向类型 |
|||||
|
1 |
|
|
|
|||||
|
2 |
|
|
|
|||||
|
污染物信息 |
污染物名称 |
排放标准 |
排放浓度 |
排放总量 |
||||
|
1 |
|
|
|
|||||
|
2 |
|
|
|
|||||
|
监测信息 |
监测时间 |
监测报告编号 |
超标情况 |
|||||
|
1 |
|
|
||||||
|
2 |
|
|
||||||
|
(二)废气污染物信息表 |
||||||||
|
排污口信息 |
废气执行标准 |
|
||||||
|
排放口编号 |
分布位置 |
排放污染物种类 |
排放去向类型 |
|||||
|
1 FQ-00519-1 |
南区1-3车间 |
二氧化李、氮氧化物、颗粒物 |
有组织排放 |
|||||
|
2 FQ-00519-2 |
南区1-3车间 |
二氧化李、氮氧化物、颗粒物 |
有组织排放 |
|||||
|
|
3 FQ-00519-3 |
南区4-5车间 |
二氧化李、氮氧化物、颗粒物 |
有组织排放 |
||||
|
|
4 FQ-00519-4 |
南区4-5车间 |
二氧化李、氮氧化物、颗粒物 |
有组织排放 |
||||
|
|
5 FQ-00519-5 |
北区原料车间 |
二氧化李、氮氧化物、颗粒物 |
有组织排放 |
||||
|
|
6 FQ-00519-6 |
北区旧车间 |
二氧化李、氮氧化物、颗粒物 |
有组织排放 |
||||
|
|
7 FQ-00519-7 |
北区新车间 |
二氧化李、氮氧化物、颗粒物 |
有组织排放 |
||||
|
污染物信息 |
污染物名称 |
排放标准 |
排放浓度 |
排放总量 |
||||
|
1二氧化硫 |
50㎎/m³ |
/ |
207.31吨/年 |
|||||
|
2 氮氧化物 |
180㎎/m³ |
/ |
967.75吨/年 |
|||||
|
|
3 颗粒物 |
30㎎/m³ |
/ |
155.67吨/年 |
||||
|
监测信息 |
监测时间 |
监测报告编号 |
超标情况 |
|||||
|
1 2015.7.29 |
(佛)环境监测 气 字 (2015)第 0503号 |
无 |
||||||
|
2 2015.10.20 |
(佛)环境监测 气 字 (2015)第 0550号 |
无 |
||||||
|
(三)危险废物信息表 |
||||||||
|
废物名称 |
产生量 |
贮存量 |
规范转移量 |
倾倒丢弃量 |
||||
|
1 废光管 |
0.3 |
0.235 |
0.3 |
0 |
||||
|
2 废油布 |
0.7 |
0.51 |
0.7 |
0 |
||||
|
3 废矿物油 |
0.25 |
0.27 |
0.25 |
0 |
||||
|
(四)噪声污染物信息表 |
||||||||
|
噪声执行标准 |
|
|||||||
|
监测信息 |
监测时间 |
监测报告编号 |
超标情况 |
|||||
|
1 |
|
|
||||||
|
2 |
|
|
||||||
|
三、防治污染设施的建设和运行情况 |
|||||||||
|
(一)废水防治污染设施 |
|||||||||
|
序号 |
设施名称 |
总投资额(万元) |
建设日期(年/月) |
投运日期(年/月) |
运营单位 |
处理工艺 |
设计处理能力(t/d) |
实际处理量(t/d) |
运行小时(h/d) |
|
1 |
1#污水处理设施 |
|
|
2003.10 |
宏陶 |
物理化学法 |
20000 |
16000 |
24 |
|
2 |
2#污水处理设施 |
|
|
2003.10 |
宏陶 |
物理化学法 |
5000 |
4300 |
24 |
|
3 |
3#污水处理设施 |
|
|
2003.10 |
宏陶 |
物理化学法 |
3000 |
2400 |
24 |
|
(二)废气防治污染设施 |
|||||||||
|
序号 |
设施名称 |
总投资额(万元) |
建设日期(年/月) |
投运日期(年/月) |
运营单位 |
处理工艺 |
设计处理能力(m3/h) |
实际处理量(m3/h) |
运行小时(h/d) |
|
1 |
FQ-00519-1 |
|
|
2009.9 |
宏陶 |
布袋除尘+湿式喷淋 |
320000 |
61800 |
24 |
|
2 |
FQ-00519-2 |
|
|
2009.9 |
宏陶 |
湿式喷淋 |
340000 |
88500 |
24 |
|
3 |
FQ-00519-3 |
|
|
2009.9 |
宏陶 |
布袋除尘+湿式喷淋 |
260000 |
68200 |
24 |
|
4 |
FQ-00519-4 |
|
|
2009.9 |
宏陶 |
湿式喷淋 |
170000 |
95500 |
24 |
|
5 |
FQ-00519-5 |
|
|
2009.9 |
宏陶 |
布袋除尘+湿式喷淋 |
200000 |
83400 |
24 |
|
6 |
FQ-00519-6 |
|
|
2009.9 |
宏陶 |
湿式喷淋 |
100000 |
78400 |
24 |
|
7 |
FQ-00519-7 |
|
|
2009.9 |
宏陶 |
湿式喷淋 |
70000 |
58200 |
24 |
|
(三)噪声防治污染设施 |
|||||||||
|
序号 |
设施名称 |
总投资额(万元) |
建设日期(年/月) |
投运日期(年/月) |
处理工艺 |
||||
|
|
|
|
|||||||
|
|
|
|
|||||||
|
四、建设项目环境影响评价及其他环境保护行政许可情况 |
||||||
|
序号 |
环保行政许可文件题名 |
批复单位 |
批复日期 |
批复编号 |
提供批复意见(扫描件) |
备注 |
|
1 |
关于广东宏陶陶瓷有限公司建设项目竣工环境保护验收意见的函 |
南海区环保局 |
2009.11.10 |
南环验函 【2009】 244号 |
|
|
|
2 |
关于广东宏陶陶瓷有限公司(技改)建设项目竣工环境保护验收意见的函 |
南海区环保局 |
2011.8.8 |
南环验函 【2011】 265号 |
|
|
|
3 |
广东省污染物排放许可证 |
南海区环保局 |
2016.5.31 |
440605-2011-00319 |
|
|
环保行政许可文件包括:建设项目环境影响评价、环保验收文件、排污许可证等。
|
五、突发环境事件应急预案情况 |
|
|
环境事件应急预案编制情况 |
A未编制;B已编制(提供编制文本,扫描件) |
针对突发环境事件已编制以下应急预案文件:
1.《废气脱硫治理设施应急预案》
2.《污水处理系统应急预案》
|
|
|
|
|
|
|
|
|
|
|
六、环境自行监测方案情况 |
||
|
环境自行监测方案编制情况 |
A未编制;B已编制(需提供文本。扫描件) |
|
已编制:《广东宏陶陶瓷有限公司自行监测方案》(HT-2015-HB002)
方案编号:HT-2015-HB002
2015年2月9日
1.1企业基本情况
企业名称:广东宏陶陶瓷有限公司
法人代表:梁桐灿
所属行业:建筑陶瓷
生产周期:常年生产
地址:广东省佛山市南海区狮山镇官窑大榄工业区
联系人:陈坤年
联系电话:13928645368
电子邮箱:
广东宏陶陶瓷有限公司成立于1999年,是广东省佛山市一家专业生产、销售完全玻化石、釉面砖、全抛釉、仿古砖、合晶玉、广场砖和超市砖的现代化大型企业。先后被评为“广东省名牌产品”、“广东省清洁生产企业”、公司参与八项国家标准和六项行业标准的制定,被认定为“国家火炬计划重点高新技术企业”。
公司在稳步发展过程中,公司领导深刻体会到:“节能环保”是企业生存和发展的生命线,因此公司在生产和服务中不断推行清洁生产,实施节能降耗措施,使公司清洁生产水平不断提高。在生产过程中不断采取改进设计、使用清洁的能源和原料、采用先进的工艺技术与设备、改善管理、综合利用等措施,从源头削减污染,提高资源利用效率,减少或者避免生产过程中污染物的产生和排放。公司不断投入资金和人力寻求更高效的污染物治理技术和更新改造环保设备,进一步提高我司的污染治理水平。公司自建废水治理设施,生产废水经处理后全部回用于车间使用,实现废水零排放。根据我司废气治理情况,结合陶瓷行业内成熟可靠的烟气治理技术,对喷雾干燥塔和辊道窑废气进行深化治理,使其达标排放又符合总量控制要求。
1.2生产工艺
宏陶公司各类产品生产流程主要包括配料、粉料制备、成型、烧成和表面装饰等五大工序,各类产品根据其产品特点,其具体生产流程略有不同。
(1)广场砖生产流程
广场砖生产流程见图1-1。
抛光砖在生产过程中为了达到表面镜面效果,需对砖坯表面进行抛光和打蜡,因此在生产过程中需进行抛光。抛光砖生产流程见图1-2。
宏陶公司釉面砖生产流程如图1-3。
见表1-1.
表1-1 主要生产设备明细表
|
主要生 产设备 |
名称 |
型号 |
数量 |
名称 |
型号 |
数量 |
|
喷雾塔 |
2500型 |
1座 |
自动压砖机 |
1600吨 |
2台 |
|
|
喷雾塔 |
3200型 |
4座 |
自动压砖机 |
1800吨 |
1台 |
|
|
喷雾塔 |
4000型 |
7座 |
自动压砖机 |
2800吨 |
2台 |
|
|
辊道窑 |
140米 |
3条 |
自动压砖机 |
3500吨 |
2台 |
|
|
辊道窑 |
160米 |
15条 |
自动压砖机 |
4200吨 |
9台 |
|
|
球磨机 |
8吨 |
12台 |
自动压砖机 |
5000吨 |
1台 |
|
|
球磨机 |
14吨 |
28台 |
梭式窑 |
|
7条 |
|
|
球磨机 |
18吨 |
30台 |
抛光线 |
80米 |
10条 |
|
|
球磨机 |
40吨 |
30台 |
煤气发生炉 |
Ф3.2 |
13台 |
|
|
自动压砖机 |
680吨 |
7台 |
锅炉 |
2吨 |
1台 |
|
|
自动压砖机 |
1500吨 |
15台 |
|
|
|
1.4 废水处理及排放情况
(1)废水产生原因:公司废水主要来源于设备清洗、地面冲洗、抛光磨边废水、脱硫除尘设备用水、冷却用水和生活用水等。废水治理情况详见表1-2.
表1-2 废水产生原因分析表
|
序号 |
污染物 |
产生部位 |
产生原因 |
处置方式 |
|
1 |
洗涤废水 |
球磨机、球釉机 |
釉料种类发生变化时需清洗球磨机,废水中主要含有泥沙石和少量化工料。 |
循环利用 |
|
机台、车间地面 |
机台和车间地面需用水冲洗,废水中主要含有泥沙。 |
循环利用 |
||
|
喷雾干燥塔 除尘系统 |
喷雾干燥塔除尘需用大量的水淋洒,产生大量废水,废水中主要含有泥沙。 |
循环利用 |
||
|
2 |
施釉线 |
施釉线 |
清洗施釉线的传送带,产生少量的废水,废水中主要含有少量化工料。 |
循环利用 |
|
3 |
冷却废水 |
生产线冷却工序 |
干燥窑出来的砖需用水冷却,产生一定量的废水。 |
循环利用 |
|
抽浆泵 |
抽浆泵需用水冷却和密封,产生废水。 |
循环利用 |
||
|
4 |
抛光废水 |
抛光磨边线 |
砖坯抛光磨边时需不断用水冷却和润滑,废水中主要含有抛光渣。 |
循环利用 |
|
5 |
脱硫除尘用水 |
湿式喷淋塔 |
窑炉和喷雾干燥塔产生的废气经过湿式喷淋后产生的废水。 |
循环利用 |
|
6 |
生活废水 |
生活配套设施 |
员工日常生活所需用水。 |
三级化粪处理 |
(2)废水特点
宏陶公司生产过程中产生的废水主要来原于原料精选、粉料制备、干燥塔喷淋、釉线、抛光磨边等工序。废水中所含成分主要是硅酸盐类,回收后可作为陶瓷原料利用。含泥废水经过处理后可全部回用。
(3)废水处理
宏陶公司废水处理系统有二套。废水处理的工艺流程见图1-4。
(4)运行情况
经处理后的污水水质完全可满足生产工艺的要求。公司生产废水不外排,全部回用于生产,已经做到零排放。公司污水处理设施统一由行政部负责管理,并配备了专业环保人员负责对日常水质的监测。
1.4 废气处理及排放情况
(1)废气产生分析
宏陶公司在生产过程所产生的废气来源主要是窑炉和喷雾干燥塔。排放的烟气中对环境影响比较大的污染物是SO2、NOX和颗粒物等。废气治理情况见表1-3。
表1-3废气来源及排放分析
|
分类 |
产生部位 |
产生原因 |
排放形式 |
处理方式 |
|
窑炉废气 |
辊道窑 |
在生产过程中燃烧燃料产生的废气 |
有组织排放 |
湿式脱硫除尘 |
|
喷雾塔废气 |
喷雾干燥塔 |
有组织排放 |
布袋除尘+湿式脱硫除尘 |
(2)废气治理
宏陶公司主要从源头控制和末端治理这两方面对废气排放进行有效控制。
①源头控制:选用硫含量低的优质煤作气化煤及制备水煤浆从源头降低烟气的二氧化硫浓度;通过调整工艺参数及烧成、干燥窑的温度、压力等曲线降低氮氧化物的产生量;严格选取原辅材料,使用含重金属成份低的原辅材料,减少废气中重金属污染物的排放。
②末端治理:为解决烟气污染问题,历年来,我司不断投入资金和人力寻求更高效的污染物治理技术和更新改造环保设备。
1)辊道窑废气,公司的辊道窑主要使用水煤气为燃料,水煤气燃烧时产生的废气主要污染物为SO2、氮氧化物和烟尘。辊道窑废气通过脱硫塔使用湿式喷淋工艺出去污染物和烟尘。窑炉废气处理工艺流程见图1-5。
2)喷雾干燥废气,本公司现有的喷雾干燥塔,主要以水煤浆和水煤气为燃料,生产过程中,泥浆在塔内雾化,并立即与塔内的稳定热气流接触,制成粉料。燃料燃烧产生的烟气中主要污染物为SO2、氮氧化物和烟尘。喷雾干燥产生的废气处理方法为旋风(出去大颗粒粉尘)+布袋(除去大部分的粉尘)+沉降室+旋流板塔(喷淋水用水幕再除尘和脱硫)的多级处理方式。喷雾塔废气处理工艺流程见图1-6。
2.1 监测点位布设
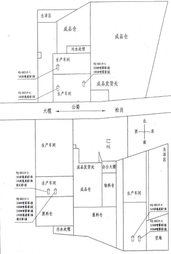
宏陶公司主要污染物为废气排放,监测点位的布设按照《固定污染源排气中颗粒物测定与气态污染物采样办法》(GB/T16157-1996)第4.2条共设了七个污染源监测地点,分别对南区1-3车间喷雾塔废气排放口(FQ-00519-1)、南区1-3车间窑炉废气排放口(FQ-00519-2)、南区4-5车间喷雾塔废气排放口(FQ-00519-3)、南区4-5车间窑炉废气排放口(FQ-00519-4)、北区喷雾塔废气排放口(FQ-00519-5)、北区旧车间窑炉废气排放口(FQ-00519-6)、北区新车间窑炉废气排放口(FQ-00519-7)七个监测点安装了环保在线自动监控装置,全天连续监测。公司平面图以及监测点位置见图2-1,全公司污染源监测点位、监测因子及监测频次见表2-1。
图2-1 宏陶公司监测点位分布图
表2-1 全厂污染源点位布设
|
污染源类型 |
排污口编号 |
排污口位置 |
监测因子 |
监测方式 |
监测频次 |
备注 |
|
废气 |
FQ-00519-1 |
南区1-3车间喷雾塔废气排放口 |
颗粒物、二氧化硫、氮氧化物、烟气黑度、含硫率 |
③ |
二氧化硫、颗粒物、氮氧化物为全天连续监测,烟气黑度、铅及其化合物、镉及其化合物、镍及其化合物、氟化物、氯化物、含硫率为每季度监测一次 |
自动监控设施与南海区环保主管部门联网,并通过环保部门验收。 |
|
FQ-00519-3 |
南区4-5车间喷雾塔废气排放口 |
|||||
|
FQ-00519-5 |
北区喷雾塔废气排放口 |
|||||
|
FQ-00519-2 |
南区1-3车间窑炉废气排放口 |
颗粒物、二氧化硫、氮氧化物、烟气黑度、铅及其化合物、镉及其化合物、镍及其化合物、氟化物、氯化物、含硫率 |
||||
|
FQ-00519-4 |
南区4-5车间窑炉废气排放口 |
|||||
|
FQ-00519-6 |
北区旧车间窑炉废气排放口 |
|||||
|
FQ-00519-7 |
北区新车间窑炉废气排放口 |
|||||
|
噪声 |
▲1# |
东面厂界外1米噪声敏感点 |
昼间/夜间厂界噪声 |
② |
每季度一次 |
排污口编号为厂界噪声监测点位 |
|
▲2# |
南面厂界外1米噪声敏感点 |
|||||
|
▲3# |
西面厂界外1米噪声敏感点 |
|||||
|
▲4# |
北面厂界外1米噪声敏感点 |
监测方式是指①“自动监测”、②“手工监测”、③“手工监测与自动监测相结合”
2.2 监测时间及工况记录
详细记录每次开展自行监测的时间,以及开展自行监测时的生产工况。
2.3 监测分析方法、依据和仪器
监测分析方法、依据及仪器见表2-2。
表2-2 监测分析方法、依据和仪器
|
监测因子 |
监测分析方法 |
方法来源 |
检出限 |
监测仪器 |
||
|
名称 |
型号 |
|||||
|
废气 |
颗粒物 |
激光后散射法 |
GB/T 16157-1996 |
1mg/m³ |
颗粒物分析仪 |
JHL-7 |
|
二氧化硫 |
非分散红外法 |
GB/T 16157-1996 |
1ppm |
二氧化硫分析仪 |
ENDA600ZG |
|
|
氮氧化物 |
非分散红外法 |
GB/T 16157-1996 |
1ppm |
氮氧化物分析仪 |
ENDA600ZG |
|
|
烟气黑度 |
测烟望远镜法 |
《空气和废气监测分析方法》(第四版) |
0级 |
林格曼黑度望远镜 |
|
|
|
铅及其化合物 |
火焰原子吸收分光光度法 |
HJ 685-2014 |
0.01mg/m³ |
原子吸收分光光度计 |
AA320N |
|
|
镉及其化合物 |
火焰原子吸收分光光度法 |
HJ/T 64.1-2001 |
3*10-6mg/m³ |
原子吸收分光光度计 |
AA320N |
|
|
镍及其化合物 |
火焰原子吸收分光光度法 |
HJ/T 63.1-2001 |
3*10-5mg/m³ |
原子吸收分光光度计 |
AA320N |
|
|
氟化物 |
离子选择电极法 |
HJ/T 67-2001 |
0.06mg/m³ |
离子计 |
PXSJ-216 |
|
|
氯化物 |
硫氰酸汞分光光度法 |
HJ/T 27-1999 |
0.04mg/m³ |
可见分光光度计 |
722N |
|
|
含硫率 |
煤中全硫的测定方法 |
GB/T 214-2007 |
0.01% |
一体化定硫仪 |
YX-DL |
|
|
噪声 |
厂界噪声 |
工业企业厂界环境噪声排放标准 |
GB 12348-2008 |
30.0dB(A) |
多功能声级计 |
AWA5680 |
2.4 监测质量保证措施
(1)按照环境监测技术规范和自动监控技术规范的要求安装自动监测设备,与环境保护主管部门联网,并通过环境保护主管部门验收;
(2)具有两名以上持有省级环境保护主管部门颁发的污染源自动监测数据有效性审核培训证书的人员,对自动监测设备进行日常维护;
(3)具有健全的自动监测设备运行管理工作和质量管理制度;
(4)符合环境保护主管部门规定的其他条件。
(5)监测过程严格按各项污染物监测方法和其他有关技术规范进行。
(6)监测所用计量仪器均应经过计量部门检定合格并在有效期内使用。
各污染因子排放标准限值见表3-1。
表3-1 各污染因子排放标准限值
|
污染物类别 |
监测点位 |
污染因子 |
执行标准 |
标准限值 |
单位 |
|
废气 |
FQ-00519-1至FQ-00519-7 |
颗粒物 |
GB25464-2010 |
30 |
mg/ m³ |
|
二氧化硫 |
50 |
mg/ m³ |
|||
|
氮氧化物 |
180 |
mg/ m³ |
|||
|
烟气黑度 |
1 |
(林格曼黑度,级) |
|||
|
铅及其化合物 |
0.1 |
mg/ m³ |
|||
|
镉及其化合物 |
0.1 |
mg/ m³ |
|||
|
镍及其化合物 |
0.2 |
mg/ m³ |
|||
|
氟化物 |
3.0 |
mg/ m³ |
|||
|
氯化物 |
25 |
mg/ m³ |
|||
|
|
|
含硫率 |
|
|
% |
|
厂界噪声 |
东面厂界外1米噪声敏感点 |
厂界环境噪声 |
GB12348-2008 |
昼间:65 夜间:55 |
Leq[dB(A)] |
|
南面厂界外1米噪声敏感点 |
|||||
|
西面厂界外1米噪声敏感点 |
|||||
|
北面厂界外1米噪声敏感点 |
(一)企业基础信息随检测数据一并公开,基础信息、自行监测方案如有调整变化时,应于变更后的五日内公布最新内容;
(二)废气自动监测数据应于每天监测完成后的次日公布,废气监测设备为每1小时均值;
(三)每年一月底公布上年度自行监测年度报告。
宏陶公司作为国控重点源企业的,通过省环保厅公众网上的“广东省重点污染源综合管理平台”中的“企业自行监测信息报送平台”进行公开化,并保留一年。
本监测方案于2015年2月9日开始执行。
(企业事业环境信息公开目录明细于2016年7月7日更新)